De kinkelenburg anno 2009:
Geschiedenis
De naam Kinkelenburg voert volgens een fantasie-rijke legende terug op de tijd van de Romeinen en de Bataven. De naam zou afgeleid (kunnen) zijn van King- of Koninklijke burcht en verwijst naar het koninklijk geslacht van Bataven waar met name Claudius Civilis, in sommige bronnen ook Julius Civilis genoemd, uit voortkomt.
De Betuwe, het eiland der Bataven (Insula Batavorum), was de plaats waar Civilis zijn woontenten had. Claudius Civilis is de Bataven hoofdman die de opstand tegen de Romeinen in 69-70 na Chr. aanvoerde.
Het dorp Bemmel is rond 1200 ontstaan en rond 1300 ontstonden de voorlopers van de kastelen. Bemmel kende in die tijd naast de Kinkelenburg, ook De Pol of Pollenbeering, Brugdijk en Huis te Bemmel.
Zie de registers op Leenaktebeoek 89 Gelre en Leenaktebeoek 89a Gelre
Het nu gerestaureerde kasteel De Kinkelenburg ligt fraai in het centrum van het dorp Bemmel. Vanaf de brug valt direct de tweeledigheid van het gebouw op: de oostelijke (rechter) helft met torentje is het oorspronkelijke middeleeuwse jachtslot van de graven van Gelre. Aan de westzijde is in de 18e eeuw een vleugel aangebouwd. Het pleintje is omzoomd met een walmuur en om het kasteel is een gracht. Terug in de geschiedenis: in de 13 eeuw begint het als een fort, een versterkt huis. In de 14e en 15e eeuw is het een woontoren, de omwalling en links voor op de omwalling een huis met trapgevel.
In de 16e eeuw bestond het kasteel uit een woontoren met een smalle vleugel en een poortje dat via een houten brug over de gracht, toegang gaf tot een hof (binnenplein). Het geheel omringd met een muurwal.
In de 18e eeuw werd een nieuw deel in renaissance aangebouwd door de toenmalige bewoner, Carl Christiaan van Oven, land- en dijkschrijver.
In de 19e eeuw is het kasteel gemoderniseerd en het hele gebouw van een pleisterlaag voorzien.
Eind 19e eeuw, begin 20e eeuw raakte het kasteel zodanig in verval. Tijdens de Tweede Wereldoorlog is het in gebruik genomen als noodhospitaal. Na de oorlog is het door de gemeente Bemmel aangekocht om te dienen als gemeentehuis. De toenmalige gemeente-architect Estourgie heeft het kasteel gerestaureerd in de stijl van de 18e eeuw.
Momenteel is het nieuwe gemeentehuis bijna gereed en wordt het kasteel vooral als trouwlocatie gebruikt.
Kadaster
Kadaster 1832:
| Perceelnr: | F 205 |
| Soort der eigendommen: | Huis en erf |
| Grootte in ha.a.ca: | 9.20 |
| Klasse ongeb: | 1 |
| Bel.ink. gebouwd: | f 270,- |
| Eigenaar: | Peter Christiaan Willem Mossel |
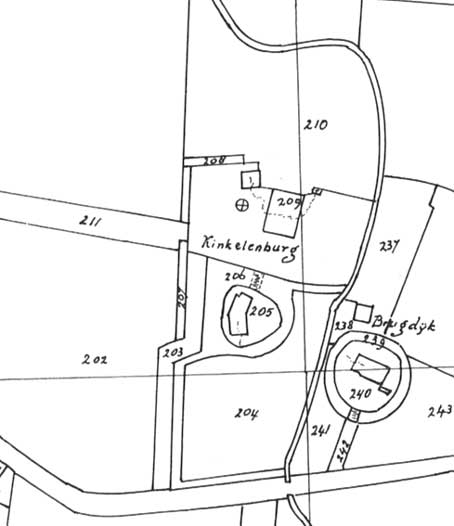
Detail kadastrale kaart gemeente Bemmel, sectie F
Eigenaren/Bewoners
| Naam | Periode |
| Johan van Aemb | 1403 … 1424 |
| Jacob van Aemb | 1427 |
| Ida van Aemb/Ambe | … |
| nn van Munster | … |
| Gosen van Bemmel | 1484 |
| Derk van Munster Dirkzn | 1501 |
| Machteld, zijn weduwe | 1519 |
| Joachim van Munster | 1526 |
| Ida van Munster, huisvrowu van Arend Boeckholt | 1556 |
| Arend van Randwijck | 1593 |
| Rutger van Randwijck | 1641 |
| Ritger van Randwijck | 1647 |
| Barthold van Gent, heer van Loenen en Meijnerswijk | 1647 |
| zoon van Barthold | |
| Kap Lt de Hallert | 1663 |
| Elisabeth van Leeuwen, wed. van Van Eck van Panthaleon | 1681-???? |
| Hendrik Cuper, burgemeester van Nijmegen | 1686 |
| Nicolaas Cuper, zoon van Hendrik | 1699 |
| Geertruid Cuper, weduwe van Jacob de Beijer | 1742 |
| Justinus de Beijer | 1751 |
| Carl Christiaan van Oven | 1765-1785 |
| Anna M.E. Coninck | (1785) |
| L.W. de Fockert woont in Nijmegen |
1789-1798 |
| Catharina Johanna du Rieu en Laurens Louis Spengler zij konden echter niet aan hun financiële verplichting voldoen, waarop in 1815 gedwongen verkoop en in 1818 ontruiming volgde. |
1798-1815 |
| Peter Christiaan Willem Mossel bewoner vanaf 1818 |
1815-1835 |
| Abraham Justus Domis | 1835-1853 |
| Theodorus Marinus Roest | 1854-1857 |
| Jan Michiel Baud | 1858-1862 |
| George Nathans Dentz | 1862-1866 |
| Maria van Schaick, weduwe van G.N. Dentz | 1866-1867? |
| Johan Christiaan Quack, predikant | 1867-1868 |
| Willem van der Monde | (1884) |
| Fransiscus Henricus Josephus Smits | (1916) |
| Arnoldus Josephus Maria Smits | (1916) |
| L.A. van de Boogaard | (1923) |
| Jan Homan van der Heide | 1917-1948 |
| Gemeente Bemmel | 1948-heden |
Bronnen:
- Historische schetsen van eenige dorpen en kasteelen in de Over-Betuwe. P.A.M. Kehl.
- Toegang tot het verleden, Bredie. Bemmel 1970.
- De Betuwe. Dr R.F.P. De Beaufort en Drs. Herma M. van den Berg. Bemmel 1968. Pag 42.
- Motor van het dorpsleven; historische schets van de gemeente Bemmel 1818-1999, Ferdinand van Hemmen. Bemmel 2000.
- Kadastrale Atlas Gelderland 1832, Bemmel, Ressen, Stichting Werkgroep Kadaastrale Atlas Gelderland, Velp 2000.
- De Betuwe, Dr. R.F.P. de Beaufort en drs. H.M. van den Berg, ’s Gravenhage 1968.
- Register op Leenaktenboeken van het vorstendom gelre en het graafschap Zutphen, Arnhem 1924.
- Notarieel archief, standplaats Bemmel, 1811-1916, Gelders Archief.
- Rechterlijk Archief Ambt Overbetuwe, 1654-1811, Gelders Archief.
Bron:Toegang tot het verleden, Bredie. Bemmel 1970.

De Kinkelenburg door J. de Beijer (1742).
De Kinkelenburg in de winter van 2009
De Kinkelenburg met aangebouwde serre.



